
Brak miejsc parkingowych przed siedzibą Starostwa Powiatowego w Kamieniu Pomorskim od dawna jest bolączką mieszkańców i osób załatwiających sprawy w urzędzie. Podczas wtorkowej sesji Rady Powiatu temat powrócił za sprawą przewodniczącego Adama Celińskiego, który przypomniał staroście Józefowi Malcowi o wcześniejszym wniosku dotyczącym rozbudowy przestrzeni parkingowej.
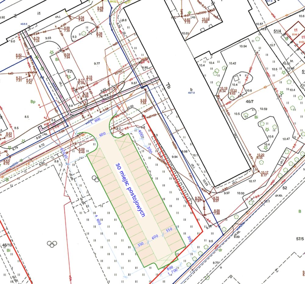
Zgodnie z przygotowanymi analizami, przed budynkiem Starostwa mogłoby powstać 30 lub 55 miejsc parkingowych. Szacunkowy koszt budowy mniejszego parkingu (30 stanowisk) wyniósłby około 250 tys. złotych. Większa wersja przewiduje utworzenie 55 stanowisk, co pozwoliłoby w większym stopniu rozwiązać problem braku miejsc dla petentów i pracowników.

– Wszyscy widzimy, że miejsc parkingowych przy Starostwie brakuje. Naszą rolą jest stworzenie jak najlepszych warunków dla osób chcących załatwić sprawę w urzędzie – podkreślił podczas sesji przewodniczący Rady Powiatu, Adam Celiński.














12 komentarzy
Anonim mówi:
paź 4, 2025
o godzinie 1:27
oczywiste jest że żadnego parkingu pod starostwem nie będzie, Celiński kolejny raz się ośmiesza, może i potrzeba jest ale nie będzie o tym decydował jakiś radny z Wolina.
Gość mówi:
paź 2, 2025
o godzinie 15:22
Mieszkańcy oraz pracownicy Starostwa i Sanepidu oddawna prosili o dodatkowy parking. Dziękuję Radnym że pochylili się nad problemem!
Anonim mówi:
paź 1, 2025
o godzinie 20:16
Starostwo to zbędny element w systemie władzy.
Anonim mówi:
paź 1, 2025
o godzinie 19:49
Najlepiej starostwa zlikwidować bo dublują zadania gmin
Gość mówi:
paź 1, 2025
o godzinie 18:17
Zrobią 30 miejsc parkingowych a petenci i tak nie zaparkują przecież tam jest tylu pracowników że miejsc braknie dla zwykłego pracownika,pracownicy mieszkający w Kamieniu powinni piechotą śmigać do pracy wtedy nie trzeba miejsc dorabiać.
Ed mówi:
paź 1, 2025
o godzinie 14:47
między szkołą, a Starostwem są wyasfaltowane place, parking jest gotowy wystarczy dojazdy zrobić i 250 tytsięcy w kieszeni.
Anonim mówi:
paź 1, 2025
o godzinie 19:34
By na to wpadli, ale to trzeba dać zarobić. Po cuj oszczędzać, stać nas.
Obywatel mówi:
paź 1, 2025
o godzinie 14:27
Niech zrobią tam porządny parking bo tam nie raz trzeba na milimetry parkować i otwierać bagażnik żeby wyjść z pojazdu.
Gkbvj mówi:
paź 1, 2025
o godzinie 12:55
Nie rozumiem fenomenu zabrania szkole internatu żeby zrobić tam Starostwo.Dzieciaki miały posiłki w internacie,funkcjonowała kuchnia.Nawet lekcje się tam odbywały.Głupotą było przeniesienie internatu dla wygody władz.A teraz parking na terenie szkoły.No super super.Najlepiej to odgrodzić ten syf od szkoły.
Anonim mówi:
paź 1, 2025
o godzinie 14:57
Goluzda pewnie to wymyślił a teraz chowa się za spódnicą pewnej starej pani.
Hkvkkn mówi:
paź 2, 2025
o godzinie 11:11
Goluzda to wogóle temat rzeka.Nic dobrego nie wnosi swoją osobą.Zrobił syf w szkole ale przecież to nie on.Staszic miał warsztaty,świetny internat.Uczył w wielu zawodach.To co zostało to całkiem inna szkoła.Wrąbali się na teren szkoły ze wszystkim jakby mało było innych budynków w kamieniu.Teraz sobie parking wymyślili,chyba dla własnej wygody bo gdzie mają pracować.
Anonim mówi:
paź 2, 2025
o godzinie 14:43
Ale nie ma co tematu „rzeki ” omijać. Szkoda tej szkoły dla tego dyrektora. A co się dziwisz że chcą parking zrobić jak szkoła nie wyremontowała boiska – ale zaraz Jacuś Ci powie że to starosta to nie on. A może by tak główką ruszyć.